台風4号接近、フィリピン北東部で2万4000人避難
このニュースをシェア
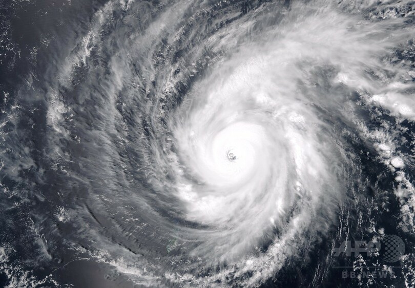
【4月4日 AFP】台風4号 (アジア名:メイサーク、Maysak)が5日未明に上陸すると予想されているフィリピン北東部沿岸のアウロラ(Aurora)州では4日、住民約2万4000人の避難が進められている。同州当局者が明らかにした。
一時は「スーパー台風」と呼ばれた台風4号は現在では風速44メートル余りにまで勢力を弱めているが、依然として高潮や鉄砲水、地滑りなどが発生する恐れがある。
フィリピンの気象当局者によると太平洋で発生した台風4号はフィリピンのルソン(Luzon)島を横断しながらさらに勢力を弱めるとみられているが、台風の進路に当たる海域では最大で2メートル程度の波が予想されている。
フィリピンは毎年20個ほどの台風に見舞われ死者が出ることも多いが、乾季の盛りに当たる4月にこのような悪天候になるのは珍しい。(c)AFP