最強のハリケーン「ドリアン」、バハマ上陸
このニュースをシェア
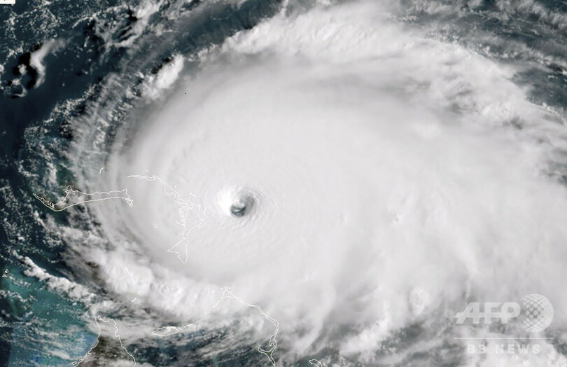
【9月2日 AFP】猛威を振るうハリケーン「ドリアン(Dorian)」は1日、勢力が5段階中最も強い「カテゴリー5」となってバハマ北部に上陸した。風速82メートルと同国北部での統計開始以降最も強い風を伴ったドリアンにより、海抜の低い島からなるバハマは「壊滅状態」に陥っている。
米フロリダ州マイアミに拠点を置く国立ハリケーンセンター(NHC)によると、「カテゴリー5」のドリアンは、グリニッジ標準時(GMT)1日午後4時45分(日本時間2日午前1時45分)にアバコ(Abaco)島のエルボーケイ(Elbow Cay)に上陸した。NHCの発表によれば風速は98メートルを超えたという。
アバコ島の住民の多くは政府の避難警報に応じずハリケーンの通過を待つ選択をしたと報じられている。同島の住民の一人はAFPに対し、ドリアンの接近で停電が起きたと語った。
NHCはGMT1日午後6時(日本時間翌2日午前3時)の発表で、ドリアンが「バハマ北西部での統計上最強のハリケーン」となったと指摘。ドリアンにより「アバコ島は壊滅状態に陥っている」と述べた。(c)AFP/Leila MACOR