猛烈なサイクロン「マーシャ」、オーストラリア北東部に上陸
このニュースをシェア
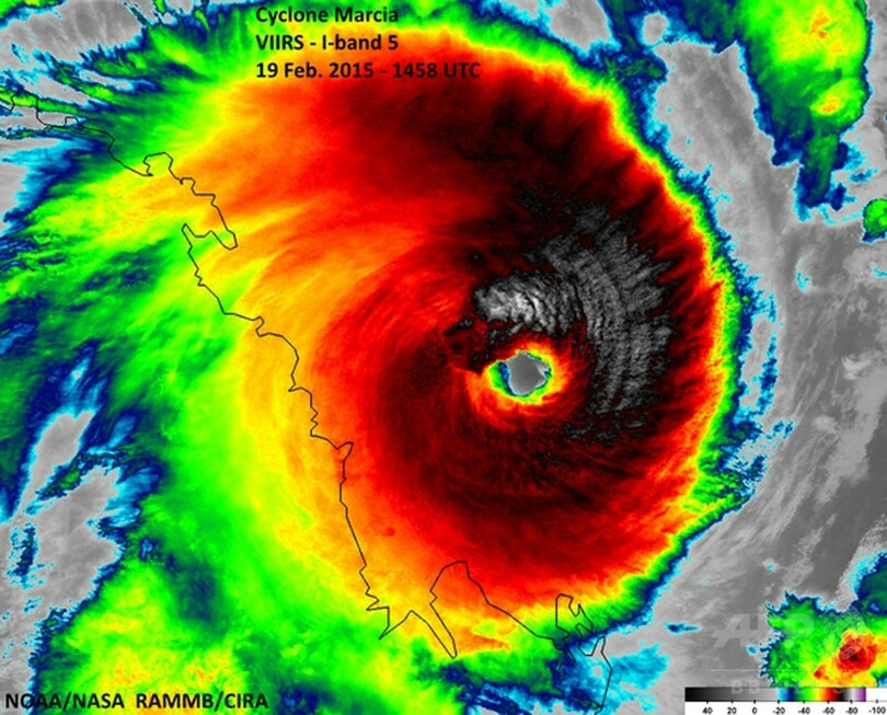
【2月20日 AFP】(一部更新、写真追加)オーストラリア北東部クイーンズランド(Queensland)州沿岸の人口密集地帯に20日朝、猛烈なサイクロン「マーシャ(Marcia)」が上陸した。オーストラリア気象局が発表した。
オーストラリア気象局によると、マーシャは同州の州都ブリスベーン(Brisbane)から北に約670キロ、イェップーン(Yeppoon)の町に近い同州ショールウォーターベイ(Shoalwater Bay)を、カプリコン(Capricorn)の町に向かって移動している。マーシャは20日、沿岸に近い陸上を南の方に向かって移動するとみられている。
マーシャはサイクロンの強さを示す5段階の尺度で最も強い「カテゴリー5」に発達している。風速80メートルを超える強風と、異常に高い高潮が予想されている。
当局は当該地域の住民に対し、「惨事を招きかねない非常に恐ろしい状況」に警戒するよう呼び掛けている。
クイーンズランド州警察のイアン・スチュワート(Ian Stewart)長官はマーシャの上陸を前に、「大災害になるだろう。そのことに疑いはない」と語り、当面は人命を守ることを最優先すると述べた。
同長官は、一時行方不明になっていた2人の漁師はすでに発見されており、いまのところ大きな被害の報告はないと述べたが、屋内にとどまるよう住民に呼びかけた。
オーストラリア気象局は、建物が壊れたり、風で物が飛ばされたり、広い範囲で停電が起きたりする被害が予想されるとしている。
オーストラリアではサイクロン「ラム(Lam)」もカテゴリー4に発達し、20日未明に北部特別地域(Northern Territory、準州)の先住民居住地域付近に上陸していた。ラムの風速は約70メートルに達した。ラムの上陸を前にグルバーン島(Goulburn Island)の住民400人以上が北部特別地域の州都ダーウィン(Darwin)に避難した。
クイーンズランド州はここ数年で何度かサイクロンを含む強い暴風雨の被害を受けている。2013年にはカテゴリー5のサイクロン「オズワルド(Oswald)」によって同州の広い範囲が洪水に見舞われ、この時に請求された保険金の総額は約9億7700万豪ドル(約900億円)に上った。(c)AFP