ハリケーン「ディーン」、カテゴリー5に成長の可能性も
このニュースをシェア
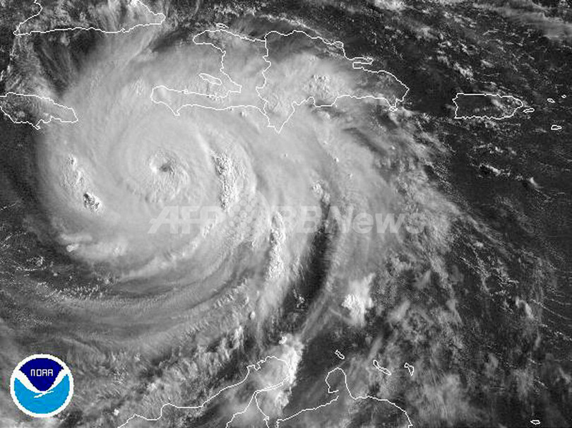
【8月20日 AFP】(写真追加)カリブ(Caribbean)海で猛威をふるうハリケーン「ディーン(Dean)」が19日、ジャマイカを通過した。ジャマイカではこれまでに少なくとも5人が死亡した。
現在カテゴリー4の「ディーン」は、ジャマイカに数十ミリの雨をもたらしている。東部では倒れた樹木で道路が寸断され、冠水している。さらに停電により数千の家庭に影響が出ている。
全米ハリケーンセンターによれば、同日の2100GMT(日本時間20日午前6時)現在、「ディーン」は首都のキングストン(Kingston)から80キロの地点をジャマイカの南部海岸線に沿って時速32キロで移動中だという。
風速最高64メートルの風を伴う「ディーン」は、20日にはカリブ海の北西部で、最高レベルのカテゴリー5に成長する怖れがあると予測されている。
■ジャマイカ
2004年のハリケーン「イワン(Ivan)」で14人の死者を出したジャマイカでは、全国に1000か所の避難所が設置され、それぞれに数百人の住民が避難している。17人ほどのスペイン人のダイバーと思われるグループがハリケーンの予想コース上からの避難を拒否したとの情報があり、安否が気遣われている。
■メキシコ
「ディーン」が20日にはユカタン(Yucatan)半島に到達すると予想されるメキシコでは、観光客数千人に避難命令が出され、国営石油会社のPEMEXは55隻のボート、29台のヘリコプターを動員して、1万3360人の職員を140か所の掘削施設から避難させた。
■ハイチ
「ディーン」が海岸線をかすめるように通過したハイチは豪雨と強風に見舞われ、これまでに2人が死亡、4人が負傷した。住民1000人以上が避難し、プランテーションなどに大きな被害が出ている。
■マルチニクとドミニカ
仏領マルチニクでは2人が死亡、ドミニカ共和国では16歳の少年が波にさらわれ死亡したと発表された。これまでに1580人が避難し、316の家屋に被害が出ている。
■キューバ
2005年のハリケーン「ウィルマ(Wilma)」の直撃により、観光客を中心に壊滅的な打撃を受けたキューバでは、洪水の怖れがあるため住民15万人が避難し、9万人の観光客にも避難命令が出された。(c)AFP/Anthony Foster
現在カテゴリー4の「ディーン」は、ジャマイカに数十ミリの雨をもたらしている。東部では倒れた樹木で道路が寸断され、冠水している。さらに停電により数千の家庭に影響が出ている。
全米ハリケーンセンターによれば、同日の2100GMT(日本時間20日午前6時)現在、「ディーン」は首都のキングストン(Kingston)から80キロの地点をジャマイカの南部海岸線に沿って時速32キロで移動中だという。
風速最高64メートルの風を伴う「ディーン」は、20日にはカリブ海の北西部で、最高レベルのカテゴリー5に成長する怖れがあると予測されている。
■ジャマイカ
2004年のハリケーン「イワン(Ivan)」で14人の死者を出したジャマイカでは、全国に1000か所の避難所が設置され、それぞれに数百人の住民が避難している。17人ほどのスペイン人のダイバーと思われるグループがハリケーンの予想コース上からの避難を拒否したとの情報があり、安否が気遣われている。
■メキシコ
「ディーン」が20日にはユカタン(Yucatan)半島に到達すると予想されるメキシコでは、観光客数千人に避難命令が出され、国営石油会社のPEMEXは55隻のボート、29台のヘリコプターを動員して、1万3360人の職員を140か所の掘削施設から避難させた。
■ハイチ
「ディーン」が海岸線をかすめるように通過したハイチは豪雨と強風に見舞われ、これまでに2人が死亡、4人が負傷した。住民1000人以上が避難し、プランテーションなどに大きな被害が出ている。
■マルチニクとドミニカ
仏領マルチニクでは2人が死亡、ドミニカ共和国では16歳の少年が波にさらわれ死亡したと発表された。これまでに1580人が避難し、316の家屋に被害が出ている。
■キューバ
2005年のハリケーン「ウィルマ(Wilma)」の直撃により、観光客を中心に壊滅的な打撃を受けたキューバでは、洪水の怖れがあるため住民15万人が避難し、9万人の観光客にも避難命令が出された。(c)AFP/Anthony Foster